>>L'ouragan Dorian frappe les Bahamas de plein fouet
>>L'ouragan Dorian menace les Bahamas, pourrait épargner la Floride
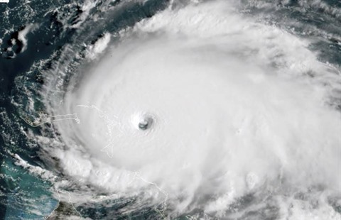
![]() |
| Image satellite de l'ouragan Dorian approchant des Bahamas le 1er septembre. |
| Photo: AFP/VNA/CVN |
L'ouragan Dorian, qui a été rétrogadé de catégorie 5 à 4 mais reste "extrêmement dangereux", est au-dessus de l'île de Grand Bahama et "bouge peu", a souligné le Centre national des ouragans américain (NHC).
Le Centre basé à Miami a précisé que les vents étaient passés à 250 km/h mais souligné que, bien qu'un "affaiblissement graduel" soit prévu, Dorian devrait rester "un puissant ouragan au cours des deux prochains jours".
"Sur la base d'informations en provenance d'Abaco, la dévastation est sans précédent", a tweeté Hubert Minnis, le Premier ministre de cet archipel des Caraïbes situé entre la Floride, Cuba et Haïti.
"J'ai des amis qui ont perdu leur maison il y a trois ans et qui sont traumatisés", a raconté Yasmin Rigby, habitante de Freeport, à Grand Bahama. "Ce souvenir et le fait que l'ouragan soit pratiquement à l'arrêt sont une source supplémentaire d'inquiétude".
Aucune indication officielle sur d'éventuelles victimes dans cet archipel composé de quelque 700 îles (dont une trentaine sont habitées) n'était disponible dans l'immédiat.
Selon le NHC, Dorian a égalé le record datant de 1935 de l'ouragan le plus puissant de l'Atlantique lorsqu'il a touché terre.
"Dégâts considérables"
Selon de premières évaluations rapides lundi 2 septembre des autorités et des responsables de la Croix-Rouge sur le terrain, quelque 13.000 maisons pourraient avoir été endommagées ou détruites et l'ouragan a causé des "dégâts considérables" dans les îles Abacos et de Grand Bahama.
"Nous sommes face à un ouragan (...) comme nous n'en avons jamais vu dans l'histoire des Bahamas", avait déclaré dimanche Hubert Minnis, le Premier ministre. "C'est probablement le jour le plus triste de ma vie", avait-il ajouté, en larmes.
Sur la côte des États-Unis, après des jours d'incertitude autour du trajet de l'ouragan, plusieurs États du Sud-Est (Floride, Géorgie, Caroline du Sud) ont finalement ordonné l'évacuation de centaines de milliers de résidents.
Selon la Croix-Rouge américaine, 19 millions de personnes vivent dans des zones qui pourraient être touchées. Jusqu'à 50.000 personnes en Floride, en Géorgie et en Caroline du Sud pourraient avoir besoin d'un abri d'urgence en fonction de l'impact.
"Partez maintenant"
Le NHC estime que l'ouragan sera "dangereusement proche" de la côte de la Floride dans la nuit du 2 au 3 septembre, mais il reste difficile d'évaluer comment le "Sunshine State" sera touché.
"Si vous êtes dans une zone d'évacuation, partez maintenant", a lancé le gouverneur de Floride, Rick Scott. "Nous pouvons reconstruire vos maisons. Nous ne pouvons pas reconstruire votre vie".
![]() |
| Le président américain Donald Trump s'exprime depuis la Maison Blanche, le 2 septembre. |
À Jensen Beach, dans le sud de la Floride, Joe Lewis, 61 ans, se préparait à quitter un parc de mobile-homes presque désert.
"Quand je reviendrai, cet endroit pourrait avoir disparu", a-t-il expliqué. "La nature peut être redoutable. La seule qui chose qui compte, c'est votre vie, pas ce que vous possédez".
Tempête imprévisible
À Washington, le président Donald Trump a réuni les responsables des services d'urgence, évoquant un ouragan qui "semble monstrueux".
"Nous nous attendons à ce qu'une bonne part de la côte est soit impactée et une partie le sera très, très durement", a-t-il déclaré.
En Caroline du Sud, le gouverneur de Caroline du Sud, Henry McMaster, a déclaré dimanche l'état d'urgence. "La force et le caractère imprévisible de la tempête nous obligent à nous préparer à tous les scénarios", a-t-il expliqué, ordonnant l'évacuation obligatoire de la côte de l'État, une mesure affectant environ 800.000 habitants.
Une évacuation obligatoire a également été ordonnée pour les régions côtières des comtés de Palm Beach et Martin, en Floride, et pour six comtés côtiers de Géorgie.
La Floride, principalement constituée d'une péninsule, se trouve chaque année en première ligne pour la saison des ouragans.
AFP/VNA/CVN


