>>Ouragan Irma : mesures de protection en Guadeloupe, à Saint-Barth et à Saint-Martin
![]() |
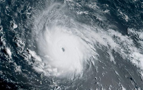
| L'ouragan Irma vu de l'espace sur une image fournie par l'agence américaine d'observation océanique et atmosphérique, le 5 septembre. |
| Photo : AFP/VNA/CVN |
L'ouragant Irma est devenue mardi 5 septembre "un ouragan extrêmement dangereux" de catégorie 5, soit le maximum de l'échelle qui mesure ces phénomènes, a annoncé le Centre américain des ouragans.
À 18h00 (GMT), il se rapprochait des Îles-sous-le-vent, à 295 km de la Barbade et 290 km d'Antigua, où le vent et la pluie ont commencé. Le cyclone était à 370 km à l'est de la Martinique, 335 km de la Guadeloupe et encore 500 km des Iles du Nord, Saint-Martin et Saint-Barthélémy.
Ces deux îles françaises sont particulièrement menacées. Selon Météo-France, "il est possible que l'œil du cyclone passe directement sur l'une des deux îles en fin de nuit et courant de matinée" mercredi 6 septembre, heure locale.
C'est la première fois que les deux îles connaîtront un cyclone de cette catégorie. Elles ont été placées mardi 5 septembre en alerte rouge cyclonique, synonyme de confinement de la population, avant un passage en "violet" (plus haut niveau de vigilance).
![]() |
| Schéma expliquant le fonctionnement d'un ouragan. |
| Photo : AFP/VNA/CVN |
Anne Laubies, préfète déléguée des deux îles, a exhorté les "11.000 personnes" vivant dans des zones à risque à les quitter. "Il faut partir maintenant, c'est leur vie qui est en jeu", a-t-elle insisté.
Mardi 5 septembre, les gendarmes ont évacué plusieurs quartiers situés en zone inondable ou submersible à Saint-Martin. "L'ensemble des baies de Saint-Barthélémy et de Saint-Martin devraient être immergées au cours de l'épisode cyclonique", a averti la préfecture.
Sont attendues des rafales pouvant atteindre 280 km/h, des précipitations de l'ordre de 200 à 300 mm et une forte houle, avec des creux de plus de 10 m.
Onze abris anticycloniques ont été ouverts. Les lieux de culte ont également été mobilisés.
![]() |
| Des habitants de Marigot, sur l'île de Saint-Martin, protègent leur maison avant l'arrivée de l'ouragan Irma. |
| Photo : AFP/VNA/CVN |
Même si "la Guadeloupe ne subira pas les conditions les plus extrêmes liées à Irma", selon Météo-France, elle est également passée en vigilance rouge cyclonique.
Stéphanie, qui habite sur un voilier dans la marina de Pointe-à-Pitre, est partie se mettre à l'abri "chez une amie", après avoir "sécurisé au maximum le bateau en espérant qu'il n'y ait pas trop de casse".
Plus puissant que Harvey
Le cyclone devrait ensuite prendre le chemin des Iles Vierges britanniques et atteindre mercredi 6 septembresoir Porto Rico, avant la République dominicaine et les Bahamas.
L'ouragan, qui se déplace à 22 km/h, est désormais plus puissant que les ouragans Luis (1995 St-Martin) ou Hugo (1989 Guadeloupe, 15 morts). Il est aussi plus puissant que Harvey, qui a récemment frappé le Texas et la Louisiane, faisant au moins 42 morts et plus de 100 milliards de dégâts matériels.
En Floride, les habitants faisaient mardi des réserves et certains rayons étaient vides dans les magasins. "Il n'y a pas d'eau, il n'y a pas de lait, il n'y a quasiment plus de conserves, et il n'y a plus de nourritures pour les chats", a déploré Gladys Bosque, retraitée de 81 ans, dans un supermarché de Miami Beach.
![]() |
| Fiche sur l'avion Lockheed WC-130 qui enregistre des données sur les cyclones. |
| Photo : AFP/VNA/CVN |
Dans la partie néerlandaise de Saint-Martin (Sint Maarten), des militaires de Curaçao et Aruba sont arrivés lundi 4 septembre en renfort, ainsi que dans les îles de St-Eustache et Saba.
À Porto-Rico, le gouverneur a mobilisé la garde nationale et ouvert des abris pour la population.
"En plein dedans"
À Saint-Barth, Saint-Martin et en Guadeloupe, les écoles sont fermées au moins jusqu'à mercredi 6 septembre inclus. Les administrations publiques le seront aussi mercredi 6 septembre.
La population s'est approvisionnée en eau, nourriture et piles. "Ça commence à être la pénurie. On a fait des réserves de bouteilles d'eau, mais on n'a pas pu acheter de réchaud, pour le moment où il n'y aura plus d'électricité", a expliqué Olivier Toussaint, 41 ans, à Saint-Martin, joint par téléphone. "On va être en plein dedans. L'intensité du cyclone nous inquiète de plus en plus", a-t-il avoué.
À Saint-Barth, nombreux ont fait la queue dans les stations-services, ont coupé et taillé les arbres autour des habitations, et calfeutré fenêtres et portes, a constaté l'AFP.
La cellule interministérielle de crise a été activée et une soixantaine de professionnels de la sécurité civile ont été envoyés en renfort dans les deux îles.
La Martinique a quant à elle été placée en "alerte rouge pour mer dangereuse" et en "alerte jaune pour vents forts" et "fortes pluies".




