>>Le Sud des Philippines balayé par une tempête, 200 morts
>>Philippines : 26 morts dans des glissements de terrain après une tempête
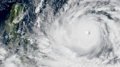
![]() |
| Image satellitaire prise le 13 septembre 2018 à 02h00 GMT montrant le typhon Mangkhut se dirigeant vers la côte des Philippines. |
| Photo: AFP/VNA/CVN |
Les autorités ont précisé que dix millions de Philippins vivaient dans les régions se trouvant sur la trajectoire prévue de la tempête, qui progressait jeudi 13 septembre dans le Pacifique.
Des millions d'autres résident sur les côtes de Chine méridionale, que le typhon touchera dans la foulée. Des milliers de personnes ont commencé à être évacuées du littoral de la pointe nord de Luzon, l'île principale des Philippines, où Mangkhut est attendu aux premières heures de samedi 8 septembre.
"Les évacuations préventives sont en cours dans nos municipalités côtières, dans les villages qui sont exposés", a déclaré à l'AFP le porte-parole du gouvernement local Rogelio Sending. "Nous allons procéder à davantage d'évacuations".
L'archipel est frappé chaque année par une vingtaine de typhons qui font une centaine de morts par an et contribuent à la pauvreté de millions de personnes. Haiyan, l'un des typhons les plus violents à avoir jamais touché terre, avait frappé les îles du centre des Philippines en novembre 2013, avec des vents dépassant les 315 km/h.
Des vagues géantes, semblables à celles d'un tsunami, avaient tout dévasté sur leur passage. La catastrophe fait plus de 7.350 morts ou disparus et privé de logement plus de quatre millions d'habitants.
L'agence météorologique philippine a indiqué que Mangkhut était à ce stade la tempête tropicale la plus violente de l'année, avec des vents soufflant à 205 km/h. Le typhon devrait en outre accroître la violence des pluies de mousson qui ont déjà provoqué d'importantes inondations dans le centre de Luzon, une zone agricole au Nord de Manille.
Hong Kong (Chine) est également sur la trajectoire de Mangkhut. Et les autorités préparent déjà la population, bien que la tempête ne soit pas attendue avant dimanche 9 septembre.
L'Observatoire météorologique de l'ex-colonie britannique exhorte ainsi à la prudence, en expliquant que la tempête constitue une "menace considérable". Des internautes ont affirmé avoir commencé à faire des réserves de nourriture. La Fédération internationale des Sociétés de la Croix-Rouge et du Croissant-Rouge a dit s'attendre à "des dégâts importants" aux Philippines. Des vagues de sept mètres sont attendues sur les rivages, et les fortes précipitations risquent de provoquer des glissements de terrain ou des crues soudaines.
À Manille, la protection civile a précisé que les villes et villages sur la trajectoire de Mangkhut aménageaient les bâtiments municipaux en centre d'accueil pour les évacués et y faisaient des provisions de nourriture et de rations d'urgence.

